>
TODAY’S VOGAN’S VIEWS ON EUROPE IS AVAILABLE BELOW!
Today‘s Global Weather Headlines
Europe Latest
Cold Wave Gradually Easing Across Europe But Leaves Behind Death Toll of 500+
The large-scale atmosphere across Europe has now changed with a flow now riding up and north of the UK, into northern Scandinavia and dropping southeastwards into the southeastern region, rather than a flow travelling from northern Scandinavia and Russia south and westwards which was a direction which transported severe Siberian cold air across the continent. The northwesterly flow is cold, yes and is bringing fresh snow from southern Scandinavia down through Germany, Poland, even the Alps and into the snowbound Balkan peninsula, Bulgaria, Romania and up through Ukraine but this flow is nothing like the frigid, dry flow out of the east, northeast.
Atlantic weather is now involved again and therefore moderation is now being found especially across the western continent where temperatures are now able to surpass freezing again.
Central and particularly eastern Europe remains cold but even here, we’re seeing dramatic warming compared to what we saw even over the weekend. Temperatures will approach freezing, finally over western Russia while further west, temperatures may in fact climb above normal for the first time in weeks!
These warming episodes which arrive on the backside of significant cold waves can cause major travel problems and even for those just walking around as frozen ground which starts thawing can become extremely slick. Roads and pavements can become one big wet, sloppy ice rink and so if you live in a region of Europe which is warming following a major freeze, be very careful out there throughout this week.
What Happened To Winter Cold & Snow For The UK?
Latest Stories
VIDEO: Extreme Cold Coming to an End for Europe
ACCUWEATHER.COM
Letter from Italy outlines the amazing snow and cold story
WEATHERBELL
Severe cold weather eases across Europe
BBC
Romania to suffer extreme coldness, with heavy snow affecting traffic
THE WEATHER NETWORK
US Latest
Snowy Across Rockies, Unsettled In Deserts, Cool & Breezy Across California Today, Snow Chances Increase From Midwest To East As Week Progresses
Spotty Snow for Interior Northeast on Valentine’s Day
ACCUWEATHER.COM
Midweek Snowstorm for Upper Midwest
ACCUWEATHER.COM
Storm Track Key for Potential Weekend Snowstorm
ACCUWEATHER.COM
Remembering the Valentine’s Day Blizzard in 2007
ACCUWEATHER.COM
Africa Latest
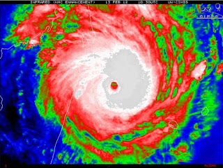
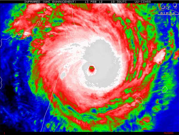
Cyclone Giovanna Slams Into Madagascar
Powerful Cyclone Giovanna Moves Over Madagascar
THE WEATHER CHANNEL
Madagascar hit by Cyclone Giovanna
BBC
Cyclone Giovanna rips through Madagascar
FRANCE 24
Australia Latest
Severe Thunderstorm Continue Across New South Wales
THE EXTREMES OF THE DAY
TODAY’S EXTREMES HERE AT MY HOUSE
HIGH: 48
LOW: 35
Thanks for reading.
-Mark












Recent Comments